高砂市荒井町中町 全11区画 売土地(売買 土地) | 高砂市荒井町中町 | 加古川市周辺の不動産情報はヤマダ不動産 加古川本店へ!一戸建て、マンションなど取扱い物件多数!

高砂市荒井町中町 全11区画 売土地 | 高砂市荒井町中町の不動産物件

【土地】
価格 1,278万円 (税無)
山陽電気鉄道本線 荒井駅 徒歩10分
スマホ表示
物件コード:109737
所在地 坪単価 土地面積 建築条件
土地権利
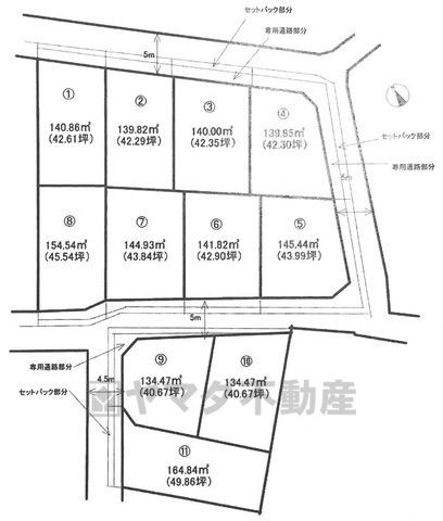
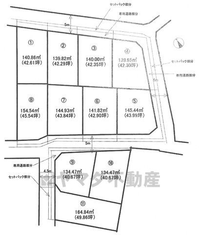
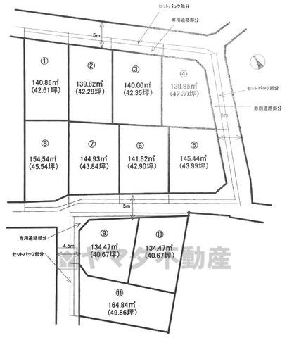
兵庫県高砂市荒井町中町 - 140.86m2
(42.61坪)
-
所有権

物件基本情報

▲全11区画
▲区画図
物件種目 土地
物件名称 高砂市荒井町中町 全11区画 売土地
所在地 兵庫県高砂市荒井町中町
交通
山陽電気鉄道本線 荒井駅 徒歩10分
山陽電気鉄道本線 伊保駅 徒歩12分
土地面積 140.86m2 (42.61坪)
建ぺい率/容積率 60% / 150%
地目 宅地
都市計画 市街化区域
用途地域 第一種中高層住居専用地域
最適用途 住宅用地
学校 高砂市立荒井小学校 / 高砂市立荒井中学校
設備・条件
  • ガス:都市ガス
  • 汚水:公共下水
  • 水道:公営水道
ヤマダ不動産 加古川本店
Tel079-457-3355
お気軽にお問い合わせください。

画像・写真

周辺地図

地図を表示中...
ストリートビュー未対応エリアです。

物件詳細情報

物件用途 - 接道 -
地勢 - 私道面積 -
土地面積基準 公簿 道路位置指定 -
借地条件 - 不適合接道 -
地代 - セットバック -
現況 更地 国土法届出 不要
引渡条件/時期 - / 即引き渡し可 取引態様 売主
設備その他 -
特記事項 -
備考 -
情報更新日 2026/01/15 広告有効期限 2026/02/15
電話でお問い合わせ
ヤマダ不動産 加古川本店 店舗情報
[所在地] 兵庫県加古川市平岡町一色100-1 Tecc LIFE SELECT 加古川本店 1階
[営業時間] 10:00~19:00
Tel079-457-3355
お気軽にお問い合わせください。